
‘Poniendo las calles’ (11 de mayo de 2021) de 4 a 5
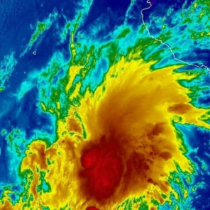
Mar Gómez nos va a hablar de qué son las rissagas que estos días se van a dar en Baleares y sobre Andrés, la primera tormenta tropical del pacifico oriental de este 2021.
Leer más
Más de Poniendo las Calles
04 NOV 2025 | Poniendo las Calles
Carlos Mazón dimite, pero sigue como presidente en funciones de Valencia mientras Partido Popular y Vox negocian. En el Congreso, la comisión investiga la gestión de la Dana, y Mazón debe comparecer. Pedro Sánchez y ministros son citados en Les Corts. El fiscal general del Estado, Álvaro García Ortiz, afronta un juicio por filtración de información. Además, José Luis Ábalos, Koldo García y Víctor Aldama se enfrentan a cargos por mascarillas. Se revelan detalles del informe de la UCO sobre Ángel Víctor Torres. Los oyentes de COPE expresan preocupación por la escalada de precios en la cesta de la compra, con alimentos como los huevos y el aceite disparados. Se reclama acción política ante esta situación. Mientras tanto, el conservatorio de Utiel resurge tras la Dana, ofreciendo esperanza a través de la música. Un camionero, Lucian, comparte su historia de superación tras un ictus. El tiempo para el 4 de noviembre de 2025 anuncia lluvias intensas y fuertes vientos en el noroeste, con alerta naranja en Asturias. La radio también presenta un tutorial sobre cómo hacer 'fluffy slime'.
- 59:00 MIN
04 NOV 2025 | Poniendo las Calles
Carlos Mazón dimite como presidente de la Diputación, pero continúa como diputado y presidente en funciones de las Cortes Valencianas. Critica al gobierno de España. En el Congreso, arranca una comisión de investigación sobre la gestión de la DANA. Comienza el juicio contra el Fiscal General del Estado, Álvaro García Ortiz, por filtración de información fiscal. El caso Koldo-Ábalos sigue con imputaciones por la venta de mascarillas. En México, el alcalde de Uruapan es asesinado. El programa "Poniendo las calles" en COPE aborda el aumento de la cesta de la compra y la "baratoflación". Jorge Alcalde comenta los planes de la NASA para que una tripulación humana regrese a la Luna en 2026. Se juega a adivinar un tutorial con pistas sobre materiales como cola blanca y espuma de afeitar.
- 60:00 MIN
04 NOV 2025 | Poniendo las Calles
Ángel Víctor Torres, presidente de Canarias, agiliza pagos irregulares de mascarillas a la empresa de Víctor de Aldama, implicado en el caso Koldo. La UCO lo señala como encargado de reclamar pagos pendientes. Su colaborador, Antonio Olivera, dialoga con Koldo García, mientras De Aldama ejerce presión a través del binomio Koldo-Ábalos, recibiendo 10.000 euros mensuales. José Luis Ábalos, Koldo y De Aldama se enfrentan a un juicio por organización criminal. Por otro lado, el Fiscal General del Estado, Álvaro García Ortiz, afronta peticiones de cárcel por filtrar datos de Alberto González. La fiscal superior Almudena Lastra cuestiona la filtración, y García Ortiz reitera su inocencia. En política valenciana, Carlos Mazón dimite, pero no convoca elecciones, continuando como diputado. VOX, por su parte, se declara inmune a las prisas y critica a Feijóo. En COPE, el crítico Jerónimo José Martín elogia la película 'Mud' de Jeff Nichols y la interpretación de Matthew McConaughey, destacando su estilo realista y emocional. Finalmente, María Jesús, madre de tres hijos adoptados con Síndrome Alcohólico Fetal, relata las dificultades diarias de sus hijos y la falta de visibilidad de esta discapacidad, solicitando mayor apoyo e información sobre la prevención del SAF. COPE apoya su lucha.
- 60:00 MIN
04 NOV 2025 | Poniendo las Calles
COPE informa sobre la actualidad nacional e internacional. Carlos Mazón dimite como presidente autonómico, pero mantiene su acta de diputado, sin convocar elecciones anticipadas. Su renuncia fuerza negociaciones entre PP y VOX para elegir sucesor, que podrían extenderse hasta principios de febrero. Mazón critica al Gobierno de España y asume responsabilidades. Mientras tanto, sigue al frente del gobierno valenciano hasta su relevo. El PP busca el apoyo de 13 diputados de VOX para investir a un nuevo presidente. La comisión de investigación sobre la trama Koldo García arranca en COPE, donde comparecen las víctimas y, el 17 de noviembre, Carlos Mazón. Pedro Sánchez y varios ministros son citados por otra comisión. El fiscal general del Estado, Álvaro García Ortiz, se enfrenta a un juicio por la filtración de información fiscal de Alberto González Amador. Ortiz insiste en su inocencia. Se esperan declaraciones de González Amador y Miguel Ángel Rodríguez. José Luis Ábalos, Koldo García y Víctor Aldama serán juzgados por la venta de mascarillas en la pandemia. Un informe de la Guardia Civil detalla la implicación del ministro Ángel Víctor Torres. En deportes, el Real Oviedo sigue en crisis. Esta noche se disputan partidos de la Champions League. COPE celebra el 70 aniversario de "Marcelino Pan y Vino". La hija del escritor Juan Muñoz Martín presenta "El Quijote en verso", una obra póstuma que acerca el clásico a los niños. COPE aborda el problema de los incendios provocados, ...
- 60:00 MIN
04 NOV 2025 | Poniendo las Calles
El programa de COPE analiza diversos temas deportivos y económicos. Se comenta la dificultad de la carrera Behobia-San Sebastián debido a la afluencia de corredores y la logística de salida. Se detalla el uso del *foam roller*: se describe como un cilindro de espuma, blando o duro, liso o con estrías, utilizado para activar la musculatura antes de entrenar o recuperarla después, favorecer el retorno venoso y mejorar la flexibilidad. Se recomienda usarlo 30-40 segundos por grupo muscular, no más de dos minutos, y evitar articulaciones. Como mejor recuperación post-entrenamiento se sugiere la inmersión en agua fría. Se debate el disfrute ocasional de la alimentación versus la necesidad de retomar hábitos saludables. En cuanto a correr, se prefiere el *trail* por su gratificación mental sobre la pista. Para un esguince de tobillo curado, se aconseja no usar protección para fortalecer el pie, reservándola para esfuerzos intensos. El tema principal de la noche es el alza de la cesta de la compra. Un estudio del IDRA, presentado por Rubén Martínez, revela que productos básicos como carne, leche y mantequilla han subido un 30-50% desde la pandemia, un fenómeno llamado "baratoflación", donde lo más barato es lo que más se encarece. Esta situación impacta negativamente en la salud al obligar a consumir productos procesados de menor calidad. Se critica la falta de políticas de vivienda y alimentación, y la concentración del sector agroalimentario en pocas manos, lo que permite una ...
- 30:00 MIN
        
                
                        
            
                    


