TEMPORAL DE FRÍO
La nieve vuelva a aparecer en Peña Escrita en Almuñécar, por segunda vez en una semana
En la vega de Río Verde se han llegado a registrar casi 0 grados y esto afecta a los subtropicales

La nieve vuelva a aparecer en Peña Escrita en Almuñécar, por segunda vez en una semana
Motril - Publicado el - Actualizado
2 min lectura
La nieve volvió a caer en la zona alta de Almuñécar. En la finca municipal de Peña Escrita ha amanecido el manto blanco, aunque en esta ocasión la cota fue inferior.
Desde la entrada al complejo, a unos 800 metros, ya se apreciaba esta mañana el citando manto blanco y a medida que ascendía, hasta los 1000 metros en el vial interior se constataba aún más cantidad.
Y es que ayer martes, se llegó a medir en la Vega de Almuñécar la temperatura más baja en este invierno cuando la media rondó los 7 grados, con una máxima de 13,9 grados que alcanzamos al mediodía pero durante la madrugada el termómetro bajó hasta casi los 0 grados, algo no visto desde hacía muchos años.

Efecto en los subtropicales
Este frío ha puesto en alerta a los agricultores de subtropicales, tanto para la chirimoya como para el aguacate, que están en cosecha.
El presidente del Consejo Regulador de la Chirimoya, Antonio Rodríguez, ha manifestado que “estas temperaturas pueden tener un efecto en el chirimoyo porque, por un lado, se está en la poda, y por otro, aún nos queda la segunda flor para la primavera y ahí si será posible que afecte. No obstante, hasta dentro de unos días aún no se podrá evaluar. No hay que olvidar que el cultivo de la chirimoya es muy sensible tanto al exceso del frío como del calor”, dijo.
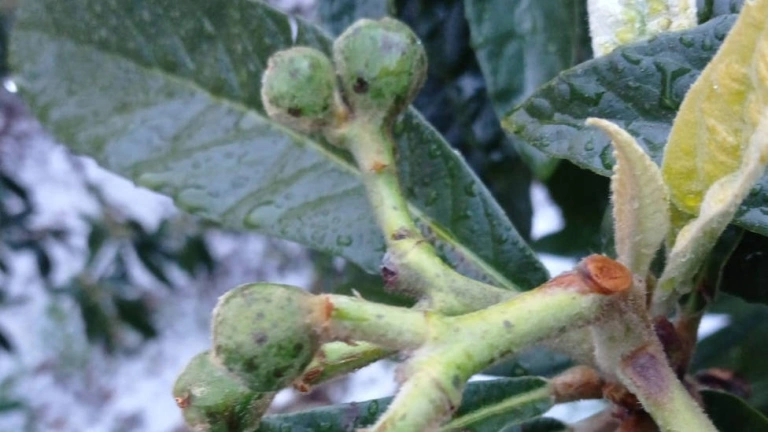
Antonio Rodríguez también se mostraba solidario con los agricultores de la níspola en Lentegí donde ayer sorprendió con una fuerte granizada cuando el fruto está en pleno engorde “y ahí si se notará”, aseveró.
Hace una semana...
La nieve llegó a Peña Escrita, la zona alta de Almuñécar
Los empleados municipales del Área de Medio Ambiente del Ayuntamiento de Almuñécar se han encontrado esta mañana (miércoles 18 de enero) con una nevada en la finca municipal de Peña Escrita.
“No ha sido mucha cantidad pero su presencia ha estado durante unas horas en la zona alta en la finca, desde los casi 1000 metros hasta los 1200 metros, que es lo más alto del municipio sexitano”, según han manifestado
Por cierto que los chaparrones esporádicos de este martes, día 17 de enero, muy alterado por el viento del norte y oeste, en la Vega de río Verde dejaron 1,2 litros/m2 , y una temperatura media de 15,2 grados, ya que la máxima superó los 21 grados.
La nieve caída tendrá una repercusión en la zona de acuíferos tan necesaria en el municipio






