Detectan por primera vez un parasitoide natural contra la plaga que daña los cultivos hortícolas
La investigación se enmarca en el proyecto del Ifapa 'Plagas emergentes y re-emergentes en la horticultura protegida', desarrollado en el centro Ifapa de La Mojonera (Almería).

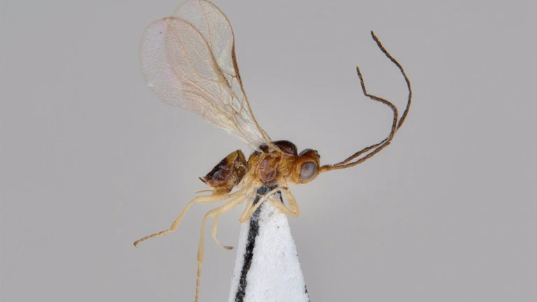
Ejemplar de la avispilla 'Opius inflammatus'
Publicado el
2 min lectura
Un estudio del grupo de Control Biológico del Instituto Andaluz de Investigación y Formación Agraria, Pesquera, Alimentaria y de la Producción Ecológica (Ifapa) en Almería y Málaga ha identificado por primera vez a la avispilla 'Opius inflammatus' como parasitoide natural del minador 'Liriomyza bryoniae', plaga "mayoritariamente responsable" de crecientes daños en cultivos hortícolas protegidos de Almería.
El trabajo se ha desarrollado junto con la Unidad de Entomología del Laboratorio de Producción y Sanidad Vegetal de Almería y ha contado con la colaboración del Laboratorio de Entomología y Control de Plagas del Institut Cavanilles de Biodiversitat i Biologia Evolutiva de la Universitat de València. Según ha indicado la Junta, el estudio se ha publicado como nota científica en el Boletín de la Asociación Española de Entomología.
'Liriomyza bryoniae' es una pequeña mosca también conocida como minador o submarino por los daños que provocan sus larvas al excavar galerías en las hojas. Desde 2019 los especialistas han observado daños "cada vez más graves" en cultivos hortícolas de invernadero, especialmente en producción ecológica, atribuidos a este minador de hojas del género 'Liriomyza'.
En el trabajo científico recién publicado, los investigadores han identificado a la especie 'Liriomyza bryoniae' "como la principal plaga causante de dichos daños" y han registrado por primera vez la presencia de 'Opius inflammatus' como su parasitoide asociado, "siendo además el más abundante de todas las especies encontradas, con un 28 por ciento de parasitismo".
Este estudio supone una ampliación del complejo de parasitoides descritos para 'Liriomyza', "generando así conocimiento sobre nuevos agentes de control biológico con potencial para controlar a esta plaga".
"Hasta la fecha no se conocían hospedadores de Opius inflammatus, por lo que esta identificación amplía el rango de distribución conocido de la especie en el Mediterráneo occidental y suma un nuevo agente al complejo de parasitoides que contribuyen al control biológico natural de Liriomyza spp. en sistemas hortícolas protegidos", han señalado desde la Junta de Andalucía.
Dicha investigación se enmarca en el proyecto del Ifapa 'Plagas emergentes y re-emergentes en la horticultura protegida', desarrollado en el centro Ifapa de La Mojonera (Almería) y cofinanciado por el Fondo Europeo de Desarrollo Regional (Feder).



