 
                         
                         
                     
                     
                     
                     
                     
                    Cultifort y Tecniagro en InfoAgro
Entrevista a Paco Fernández (administrador de Tecniagro) y Eva Sendra (CEO de Cultifort).
 
                    Adriana Valverde deja la portavocía del PSOE en el Ayuntamiento de Almería
Valverde ha manifestado que quiere dar paso a compañeros jóvenes, con nueva energía y visión innovadora que conecte con los almerienses. Eso sí, no dejará su acta de concejal.
 
                    La Tuna Universitaria de Almería triunfa en el Certamen de Tunas de Nigüelas
La agrupación musical universitaria arrasó en la entrega de premios alzándose con cuatro de los más importantes, entre ellos mejor tuna y mejor solista.
 
                    El proyecto musical ‘Siente la Plaza’ atraerá a más de 100.000 personas y dejará un impacto económico de 10 millones de euros en Almería
La alcaldesa María del Mar Vázquez y el presidente de Diputación, Javier A. García, arropan el proyecto, con artistas de la talla de Raphael, Camilo, Vanesa Martín o Sebastián Yatra.
 
                    El 58º Festival de Flamenco y Danza de Almería ya tiene fecha y una decena de propuestas
Ayuntamiento, Diputación y Junta de Andalucía presentan las actividades, protagonizadas por Michel Camilo y Tomatito, Vicente Soto Sordera, el Ballet Flamenco de Andalucía o ‘Plazeando’.
 
                    Detenidos en Carboneras dos jóvenes cuando robaban 500 metros de cable de cobre
Los autores, de 26 y 31 años, fueron sorprendidos in fraganti con una furgoneta que transportaba parte del cableado telefónico sustraído y diversas herramientas utilizadas en la comisión del delito.
 
                    El Almería tuvo cabeza y se la jugará en casa (0-0)
Los de Rubi necesitaban un punto ante el Mirandés para depender de sí mismo en la última jornada. Lo lograron en su partido más serio a domicilio desde enero. Si ganan al Tenerife, al playoff.
 
                    Restringen la navegación en doce playas del Cabo de Gata durante el verano para proteger los hábitats marinos
Entre los hábitats que se pretende proteger figuran las praderas de posidonia y los arrecifes, considerados de "gran valor ecológico y paisajístico".
 
                    Las universidades de Almería y Huelva lanzan el nuevo Grado Interuniversitario en Física
La nueva titulación arrancará el próximo curso académico con 60 plazas y llevará consigo la movilidad del alumnado entre ambos campus.
 
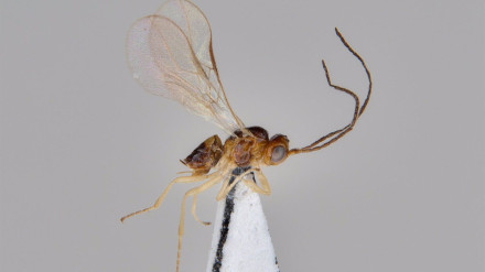
                    Detectan por primera vez un parasitoide natural contra la plaga que daña los cultivos hortícolas
La investigación se enmarca en el proyecto del Ifapa 'Plagas emergentes y re-emergentes en la horticultura protegida', desarrollado en el centro Ifapa de La Mojonera (Almería).
 
                    Comienzan las obras del nuevo instituto de Almerimar de El Ejido, con un presupuesto de 8,6 millones de euros
La consejera ha destacado que el futuro centro, con capacidad para 620 plazas para Secundaria y Bachillerato, contará con unas instalaciones modernas que incluyen sistema de bioclimatización.
 
                     
                     
                    Massó Agro en InfoAgro
Entrevista a Benito Ortega (delegado de desarrollo y marketing de Massó Agro).
 
                     
                 
                         
             
                    