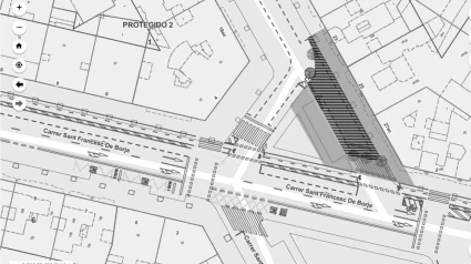
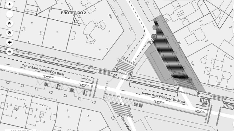
Las calles San Francisco de Borja y Alzira serán peatonales
Se prevé también disponer pasos de peatones semaforizados en la confluencia de la avenida de Catalunya con la calle Clariano

El Ayuntamiento adjudica la redacción de proyectos de mejora de la movilidad peatonal en los distritos de Extramurs y Algirós
Valencia - Publicado el
1 min lectura1:40 min escucha
El servicio de Movilidad del Ayuntamiento ha aprobado la redacción de los proyectos para la conversión en zona peatonal del cruce de la calle San Francisco de Borja con la calle Alzira (en el distrito de Extramurs) y para la ejecución de pasos de peatones semaforizados en la confluencia de la avenida Catalunya con la calle Clariano (en el distrito de Algirós).
El proyecto de conversión en zona peatonal del cruce de las calles de San Francisco de Borja y Alzira se hará eliminando uno de los carriles de salida del tráfico motorizado hacia esta primera vía. La redacción de este proyecto se ha adjudicado a la empresa Soluciones Civiles y Técnicas SLL, por un importe de 3.509,00 euros (IVA incluido) y un plazo de ejecución de 2 meses.
Una vez sea redactado y aprobado, esta actuación contará, para su ejecución, con una subvención del Instituto Valenciano de Competitividad Empresarial (IVACE) de 18.415,80 euros (el 60% de su presupuesto base). El Ayuntamiento es beneficiario de un paquete de ayudas a proyectos de fomento de la movilidad urbana sostenible convocado por esta entidad (IVACE) con cofinanciación de la Unión Europea a través del Programa Fondo Europeo de Desarrollo Regional (FEDER) de la Comunitat Valenciana 2021-2027 .
En segundo lugar, se ha adjudicado también la redacción del proyecto para la instalación de pasos de peatones regulados con semáforos en la avenida Catalunya, concretamente en la zona sur de la glorieta en la intersección con la calle Clariano. La empresa adjudicataria ha sido GECIVAL SL, por un importe de 3.811,50 euros (IVA incluido) y el plazo para la redacción del proyecto es de un mes.



