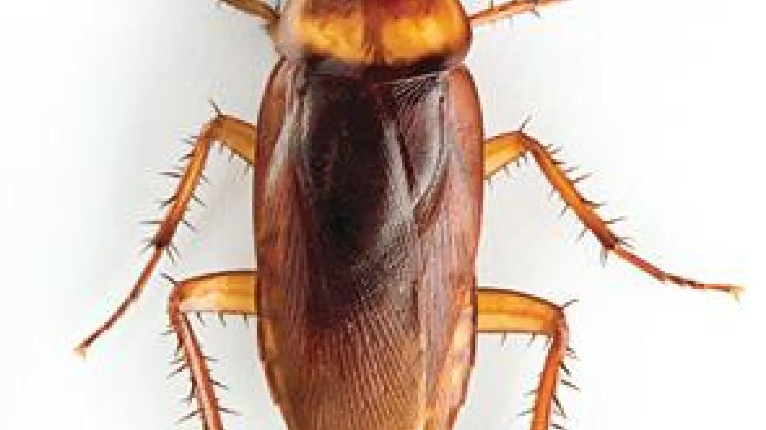
Plaga

La calor dispara la presència de paneroles a Barcelona

00:00

Redacción digital

Madrid - Publicado el - Actualizado

1 min lectura

Programas

Último boletín

5:00H | 25 FEB 2026 | BOLETÍN

Boletines COPE
Tracking